この記事の目次
Toggle【南アルプス市下宮地】新規分譲地販売スタート!✨
こんにちは!もてぎ不動産です😊
このたび、
\✨南アルプス市下宮地にて新規分譲地の販売を開始いたしました✨/
自然豊かでのびのび暮らせる人気エリアに、
全10区画のゆとりある分譲地が誕生です🏡🌿
マイホームをご検討中の皆さま、ぜひチェックしてください!

📍南アルプス市下宮地ってどんなところ?
下宮地エリアは、
✔ 静かで落ち着いた住宅環境
✔ 小学校・中学校が比較的近い
✔ 公園も身近で子育てしやすい
✔ 車移動もしやすい立地
「便利さ」と「自然環境」のバランスがちょうど良い場所です✨
のんびりした街並みの中で、
家族との時間を大切にした暮らしが叶います😊
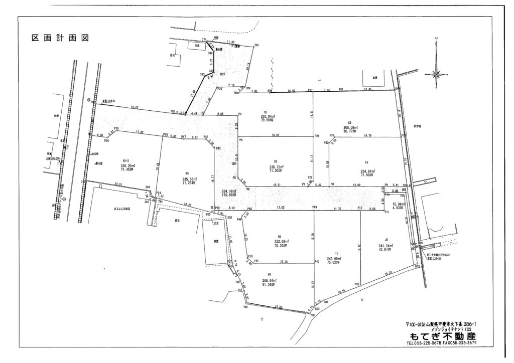
🏡分譲区画のご紹介(全10区画)
70坪前後中心のゆとりある敷地!
駐車場3台+お庭も十分確保できます🚗🚗🚗
| 区画 | 面積 | 坪単価 | 販売価格 |
|---|---|---|---|
| A | 71.45坪 | 115,000円 | 8,216,750円 |
| B | 71.25坪 | 115,000円 | 8,193,750円 |
| C | 予約 | 100,000円 | 7,950,000円 |
| D | 71.30坪 | 125,000円 | 8,913,750円 |
| E | 90.77坪 | 90,000円 | 8,169,300円 |
| F | 71.08坪 | 120,000円 | 8,529,600円 |
| G | 70.20坪 | 110,000円 | 7,722,000円 |
| H | 81.26坪 | 95,000円 | 7,719,700円 |
| I | 75.62坪 | 105,000円 | 7,940,100円 |
| J | 72.97坪 | 105,000円 | 7,661,850円 |
※面積は坪数表示です。
🌟ここが魅力ポイント!
✅ 建築条件なし!
お好きなハウスメーカー・工務店で建築可能✨
「自由設計で理想の家を建てたい!」という方にぴったりです。
✅ 価格帯が魅力的!
7百万円台中心の価格設定!
土地取得費用を抑えられるため、建物にしっかりご予算をかけられます💡
✅ 90坪超え区画あり!
E区画はなんと90坪超!
・平屋住宅
・広いドッグラン
・家庭菜園スペース
・BBQテラス
夢が広がりますね😊
👨👩👧👦こんな方におすすめ!
✔ 平屋を建てたい方
✔ 子育て世代のご家族
✔ 駐車場を複数台確保したい方
✔ 将来を見据えてゆとりある土地が欲しい方
✔ 土地価格を抑えたい方
下宮地は「コスパ」と「住みやすさ」を両立できるエリアです✨
🏠 家づくり成功のポイント
家づくりは
「建物」だけでなく「土地選び」がとても重要です。
・日当たり
・周辺環境
・道路状況
・将来の資産性
もてぎ不動産では、
購入後の暮らしまでしっかり考えたご提案をいたします😊
住宅ローンのご相談も無料です!
🚶♂️現地見学受付中!
写真や資料だけでは分からない
✔ 風通し
✔ 周辺の雰囲気
✔ 実際の広さ
ぜひ現地で体感してください✨
平日・週末どちらもご案内可能です!
📞お問い合わせはお早めに!
人気エリアにつき、早期成約が予想されます。
「ちょっと気になる」でも大歓迎です😊
理想のマイホーム計画を、
もてぎ不動産が全力でサポートいたします🏡✨
🌈南アルプス市下宮地 新規分譲地
あなたの新しい暮らし、ここから始めませんか?
お気軽にお問い合わせください!
もてぎ不動産でした😊